Burlington Northern Tulsa Division Track Chart
$12.49
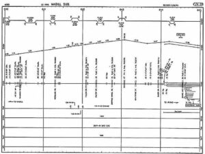
The Burlington Northern Tulsa Division in 1995, just prior to the BNSF merger.
- Free Shipping on all Collectibles
Two choices on delivery. Immediate download or PDF file on a CD Data Disc shipped to you.
Why buy digital information from RailfanDepot?
1) 20 years experience. Professional high quality scans.
2) All data discs are 780MB CD discs. No need for a DVD Drive.
3) If shipped, CDs come in a case for protection and storage.
4) The discs are printed, not paper labels that can damage a drive.
5) Shipped discs come with a tracking number.
6) Lifetime download backup guarantee. See below.
———————————————————————————
This is Burlington Northern’s Tulsa Division in 1995, just prior to the BNSF merger. This division covers these subdivisions:
* Madill, * Creek, * Cherokee, * Oklahoma, * Chickasha, * Avard, includes Yard Diagrams.
This is a scan to PDF of an original BN Tulsa Division Track Chart. The PDF has been scanned in a high contrast black/white for easy printing. 314 pages, updated to 1995.
About your lifetime download backup guarantee
► Our data is stored in the most reliable data cloud on the planet, the Amazon Cloud. The same service Netflix uses.
► We are serious about storing and serving data.
► If you lose your disc, change computers, whatever the need, just send us an email.
| Railroad | |
|---|---|
| Country/Region of Manufacture | |
| Replacement Guarantee |













